




0 Sierra Hwy/P8 Avenue, Palmdale, CA 93550
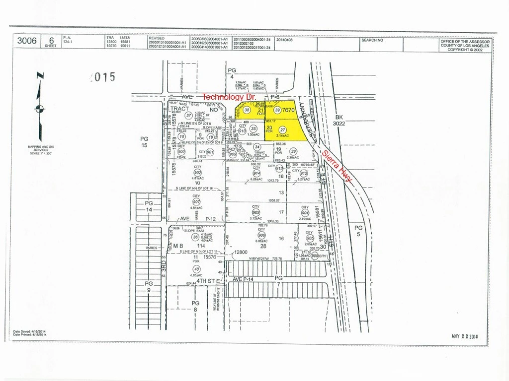
2.14+/-Acre SW of Sierra Hwy. and paved Ave. P-8 (Technology Drive), Zoning is Plan Development Industrial property (PDM1) All utilities in the Street. It is just across the street from Palmdale's new transportation center. Fwy. 14 just 1/2 mile to the west. Trade & Commerce Center just west of Fwy. 14. Winnell Industrial center 300' north of the subject property. The Palmdale Air Terminal is just 3.5 miles to the east. Palmdale carries the nickname of "aerospace capital of the United States", which has been the home for research, development, and testing of several important aircraft. Palmdale is home to Lockheed Martin, Boeing, NASA, Northrup Grumman, and Air Force Plant 42. Several other manufacturing users have relocated to Palmdale seeking cheaper land alternatives to Los Angeles as well as taking advantage of various tax incentives. This movement, along with the continued growth of the residential population solidifies Palmdale as an attractive long-term investment. You may google the following GPS coordinates to locate the property: 34.593610 -118.120722
Lot Size
92,939 sqft
Days on Market
907
HOA Fee
N/A
MLS #
SR23158169
Lot Features
Irregular Lot, Lot Over40000 Sqft, Level, Near Public Transit, Street Level
Water Source
Public
Curbs, Rural
$0
| Rating | School Name | ||
|---|---|---|---|
| No school data available for this area. | |||
Balanced market
Avg. time on market
This is a Balanced Market. Homes are selling at a moderate pace.
Based on price, location, and features
Topfind Realty, DRE # 02240815, is a licensed real estate broker in California. Topfind Realty pledges to support the Fair Housing Act and adhere to Equal Housing Opportunity laws.
Copyright © 2026 Topfind Realty. All Rights Reserved.