




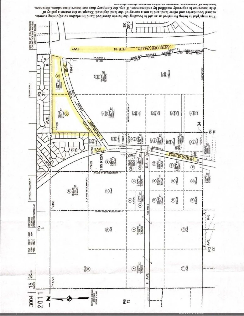
0 Vac/Rayburn Rd/Vic Tierra Subi, Palmdale, CA 93550
THIS IS A RARE OPPORTUNITY. Over 10 Acres Zoned COMMERCIAL in the city of Palmdale AND RIGHT ON THE FREEWAY! Two Separate Contiguous Parcels being sold together. Zoned RC, Regional Commercial and Suitable for Retail, Office, Hotel, Mini-Storage, Gas Station, Car Wash and more. Buyer to confirm with the City of Palmdale to confirm what uses will be allowed. Not only Adjacent to AV Freeway but also to Residential Development to the north and west. There are Block walls on two sides. All Utilities available. Close to Major Shopping Outlets and Community Shopping Centers, the Palmdale Business Park and the Palmdale Regional Hospital. Lots of development options. Don't miss this rare opportunity. APNs 3004-015-042 and 043.
Lot Size
311,450 sqft
Days on Market
266
HOA Fee
N/A
MLS #
SR25188226
Lot Features
Eleven To Fifteen Units Acre
Water Source
See Remarks
Foothills
$0
| Rating | School Name | ||
|---|---|---|---|
| No school data available for this area. | |||
Balanced market
Avg. time on market
This is a Balanced Market. Homes are selling at a moderate pace.
Flood Risk
Minimal — not in a FEMA flood zone
Wildfire Risk
Moderate — near wildland-urban interface
Heat Risk
Low — moderate summer temperatures
Earthquake Risk
Southern California seismic zone
Based on price, location, and features
Topfind Realty, DRE # 02240815, is a licensed real estate broker in California. Topfind Realty pledges to support the Fair Housing Act and adhere to Equal Housing Opportunity laws.
Copyright © 2026 Topfind Realty. All Rights Reserved.