




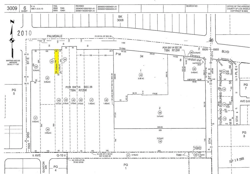
3 Street East and Palmdale Boulevard, Palmdale, CA 93550
HEAVY COMMERCIAL (PDC3*) Right on Palmdale Blvd. close to all, City Hall right on Palmdale Blvd. and Freeway 14. Just build your own businesses, all utilities in the street.(APN: 3009-006-033). Palmdale carries the nickname of "aerospace capital of the United States", which has been the home for research, development, and testing of several important aircraft. Palmdale is home to Lockheed Martin, Boeing, NASA, Northrup Grumman, and Air Force Plant 42. It is adjacent and next to 310 E Palmdale Blvd, Palmdale 93550. You may google the following GPS coordinates to locate the property: 34.579575 -118.124178
Lot Size
3,765 sqft
Days on Market
2997
HOA Fee
N/A
MLS #
SR17157615
Lot Features
Level, Paved, Rectangular Lot
Water Source
Public
Street Lights, Sidewalks, Urban
$0
| Rating | School Name | ||
|---|---|---|---|
| No school data available for this area. | |||
Balanced market
Avg. time on market
This is a Balanced Market. Homes are selling at a moderate pace.
Flood Risk
Minimal — not in a FEMA flood zone
Wildfire Risk
Moderate — near wildland-urban interface
Heat Risk
Low — moderate summer temperatures
Earthquake Risk
Southern California seismic zone
Based on price, location, and features
Topfind Realty, DRE # 02240815, is a licensed real estate broker in California. Topfind Realty pledges to support the Fair Housing Act and adhere to Equal Housing Opportunity laws.
Copyright © 2026 Topfind Realty. All Rights Reserved.