




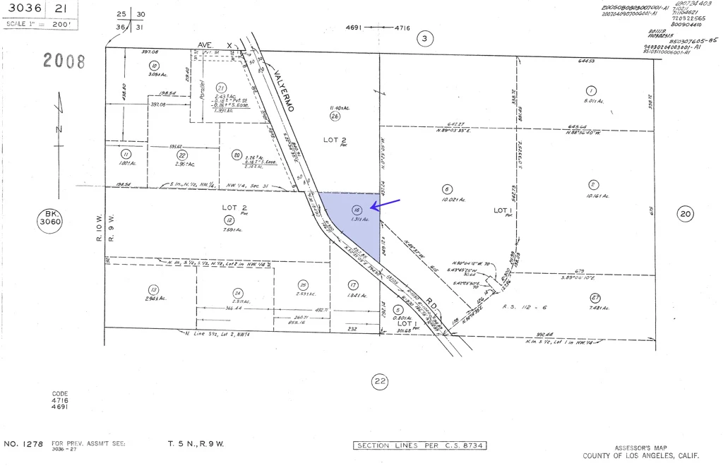
0 Valyermo Road, Pearblossom, CA 93553
Come see this 1.3-acre parcel, just right for your new home with panoramic views of the mountains and valley and attractive homes nearby. Fantastic, paved street frontage on Valyermo Road with both electricity and county water available at the street. Desirable A-2 zoning, gentle topography and a completed Certificate of Compliance add value. A great site for your new build! *Agent/Owner. Buyer to make their own independent investigations regarding Zoning and General Plan Designations, Environmental and Hazard Zones, Access and Development costs, Availability and Costs of Utilities.
Lot Size
57,063.6 sqft
Days on Market
0
HOA Fee
N/A
MLS #
SR26038334
Lot Features
Agricultural, Irregular Lot
Water Source
Public
Rural
$0
| Rating | School Name | ||
|---|---|---|---|
| No school data available for this area. | |||
Balanced market
Avg. time on market
This is a Balanced Market. Homes are selling at a moderate pace.
Flood Risk
Minimal — not in a FEMA flood zone
Wildfire Risk
Moderate — near wildland-urban interface
Heat Risk
Low — moderate summer temperatures
Earthquake Risk
Southern California seismic zone
Based on price, location, and features
Topfind Realty, DRE # 02240815, is a licensed real estate broker in California. Topfind Realty pledges to support the Fair Housing Act and adhere to Equal Housing Opportunity laws.
Copyright © 2026 Topfind Realty. All Rights Reserved.