
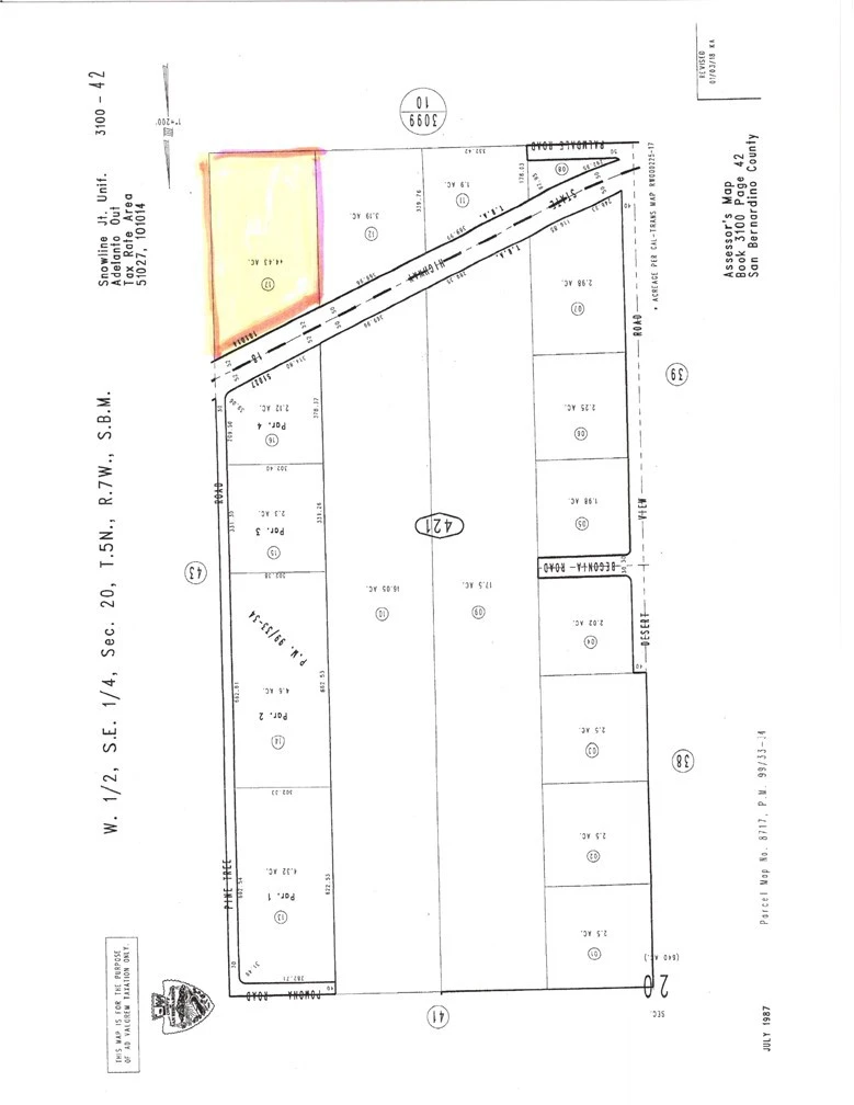
0 Palmdale Road, Pinon Hills, CA 92372
GREAT PIECE OF LAND TO HAVE A WEEKEND WARRIOR BRING YOU TOYS AND ENJOY YOUR TIME ALONE ON THIS 4.43 ACRES PIECE OF DESERT LAND BUILD YOUR DREAM HOME HERE... Latitude 34.499825 longitude -117.630726
Lot Size
192,970.8 sqft
Days on Market
250
HOA Fee
N/A
MLS #
HD25079998
Lot Features
Irregular Lot
Biking
$0
| Rating | School Name | ||
|---|---|---|---|
| No school data available for this area. | |||
Balanced market
Avg. time on market
This is a Balanced Market. Homes are selling at a moderate pace.
Flood Risk
Minimal — not in a FEMA flood zone
Wildfire Risk
Moderate — near wildland-urban interface
Heat Risk
Low — moderate summer temperatures
Earthquake Risk
Southern California seismic zone
Based on price, location, and features
Topfind Realty, DRE # 02240815, is a licensed real estate broker in California. Topfind Realty pledges to support the Fair Housing Act and adhere to Equal Housing Opportunity laws.
Copyright © 2026 Topfind Realty. All Rights Reserved.