




0 Mussey Grade Rd, Ramona, CA 92065
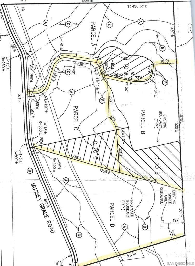
Exceptional opportunity to build your dream home on over 10 acres in desirable West Ramona, located off Mussey Grade Road near Mahogany Ranch Road. This private parcel is accessed via a private road and offers spectacular panoramic views. Water and electricity are nearby, with possible availability to connect to the Ramona Municipal Water District. Neighboring properties have also successfully obtained water by drilling private wells. An adjacent 10+ acre parcel (MLS #260001314), owned by the same seller, is also available—purchase one or combine both for an expansive estate.
Bathrooms
0
Lot Size
455,637 sqft
Days on Market
0
HOA Fee
N/A
MLS #
260001312SD
Lot Features
Rolling Slope
Water Source
See Remarks
$0
| Rating | School Name | ||
|---|---|---|---|
| No school data available for this area. | |||
Balanced market
Avg. time on market
This is a Balanced Market. Homes are selling at a moderate pace.
Based on price, location, and features
Topfind Realty, DRE # 02240815, is a licensed real estate broker in California. Topfind Realty pledges to support the Fair Housing Act and adhere to Equal Housing Opportunity laws.
Copyright © 2026 Topfind Realty. All Rights Reserved.