




35335 Via Josefina, Rancho Mirage, CA 92270
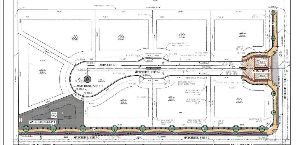
5 Acre parcel of land in the heart of Rancho Mirage, fully permitted subdivision of 8 buildable lots! Panoramic mountain views. 8 lots, between 0.41 and 0.48 acres. Small home on property now, occupied, that will need to be removed prior to building subdivision.3 blocks from Cotino by Disney. A day pass away from their spectacular lagoon, shopping and dining! Call agent for further details. Please check with city of Rancho Mirage for all building and utilities requirements.Jeri Rice 206 240 5324 Royale Real Estate.Cal BRE #02143288
Bathrooms
0
Lot Size
217,800 sqft
Days on Market
100
HOA Fee
N/A
MLS #
219138167DA
$0
| Rating | School Name | ||
|---|---|---|---|
| No school data available for this area. | |||
Balanced market
Avg. time on market
This is a Balanced Market. Homes are selling at a moderate pace.
Flood Risk
Minimal — not in a FEMA flood zone
Wildfire Risk
Moderate — near wildland-urban interface
Heat Risk
Low — moderate summer temperatures
Earthquake Risk
Southern California seismic zone
Based on price, location, and features
Topfind Realty, DRE # 02240815, is a licensed real estate broker in California. Topfind Realty pledges to support the Fair Housing Act and adhere to Equal Housing Opportunity laws.
Copyright © 2026 Topfind Realty. All Rights Reserved.