


0 Avenue E-8, Redman, CA 93535
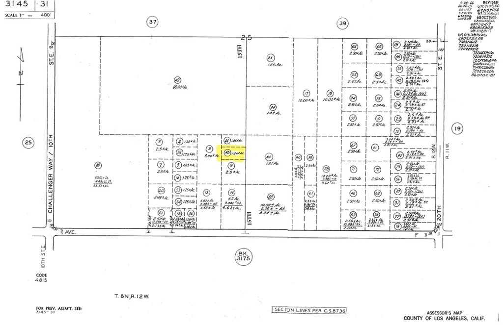
Raw land with real potential. This 1.28-acre parcel sits off 15th Street East, just parcels away from East Avenue F in the unincorporated community of Redman, offering 330 feet of street frontage and wide-open opportunity in the high desert. Zoned LCD21*, the property supports a broad spectrum of light industrial and agricultural uses, giving buyers flexibility to build toward their vision whether that's a contractor's yard, equipment storage, agricultural operation, or a foothold in one of the Antelope Valley's most accessible corridors. Less than 15 minutes to Downtown Lancaster, with straightforward access to major transportation arteries, this parcel combines the breathing room of rural land with the practicality of urban proximity. As Lancaster and the surrounding unincorporated areas continue to attract investment and development, opportunities like this; raw, affordable, and well-positioned, are becoming harder to find. Buyers are encouraged to independently verify zoning details and permitted uses with Los Angeles County.
Lot Size
55,892 sqft
Days on Market
0
HOA Fee
N/A
MLS #
OC26042836
Lot Features
Lot Over40000 Sqft
Rural
$0
| Rating | School Name | ||
|---|---|---|---|
| No school data available for this area. | |||
Balanced market
Avg. time on market
This is a Balanced Market. Homes are selling at a moderate pace.
Based on price, location, and features
Topfind Realty, DRE # 02240815, is a licensed real estate broker in California. Topfind Realty pledges to support the Fair Housing Act and adhere to Equal Housing Opportunity laws.
Copyright © 2026 Topfind Realty. All Rights Reserved.