

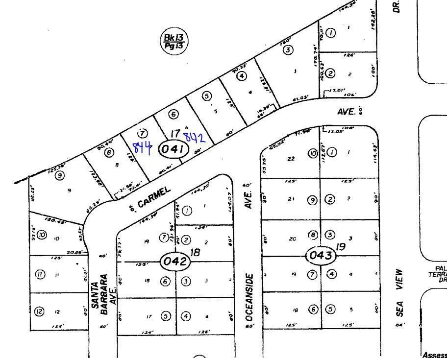
842 Carmel Ave Avenue, Salton City, CA 92275
TAKE A LOOK -. A fantastic opportunity to own two side by side lots. A slice of the rapidly growing Salton City community! These spacious lots are a perfect opportunity for building your dream home or investing in the future of this up-and-coming area. Enjoy breathtaking views of the Salton Sea and the surrounding mountains, offering a tranquil desert lifestyle with endless blue skies and stunning sunsets. Located just minutes from the Salton Sea State Recreation Area, this property is ideal for outdoor enthusiasts who love boating, fishing, and birdwatching. The neighborhood is peaceful and quiet, yet conveniently close to local amenities. Nearby, you'll find businesses such as AM/PM convenience store, Dollar General, and the West Shores Market for all your daily needs. For a bite to eat, check out the popular Alamo Restaurant or the Salton Sea Beach Cafe. With easy access to Highway 86, you're just a short drive from Indio, Coachella, and the greater Palm Springs area. Whether you're looking to build, invest, or simply escape the hustle and bustle, 842 Carmel Avenue offers endless possibilities in a unique desert setting. Don't miss your chance to be part of Salton City's exciting future!
Bathrooms
0
Lot Size
10,828 sqft
Days on Market
0
HOA Fee
N/A
MLS #
219136593DA
Sewer
Unknown
$0
| Rating | School Name | ||
|---|---|---|---|
| No school data available for this area. | |||
Balanced market
Avg. time on market
This is a Balanced Market. Homes are selling at a moderate pace.
Flood Risk
Minimal — not in a FEMA flood zone
Wildfire Risk
Moderate — near wildland-urban interface
Heat Risk
Low — moderate summer temperatures
Earthquake Risk
Southern California seismic zone
Based on price, location, and features
Topfind Realty, DRE # 02240815, is a licensed real estate broker in California. Topfind Realty pledges to support the Fair Housing Act and adhere to Equal Housing Opportunity laws.
Copyright © 2026 Topfind Realty. All Rights Reserved.