


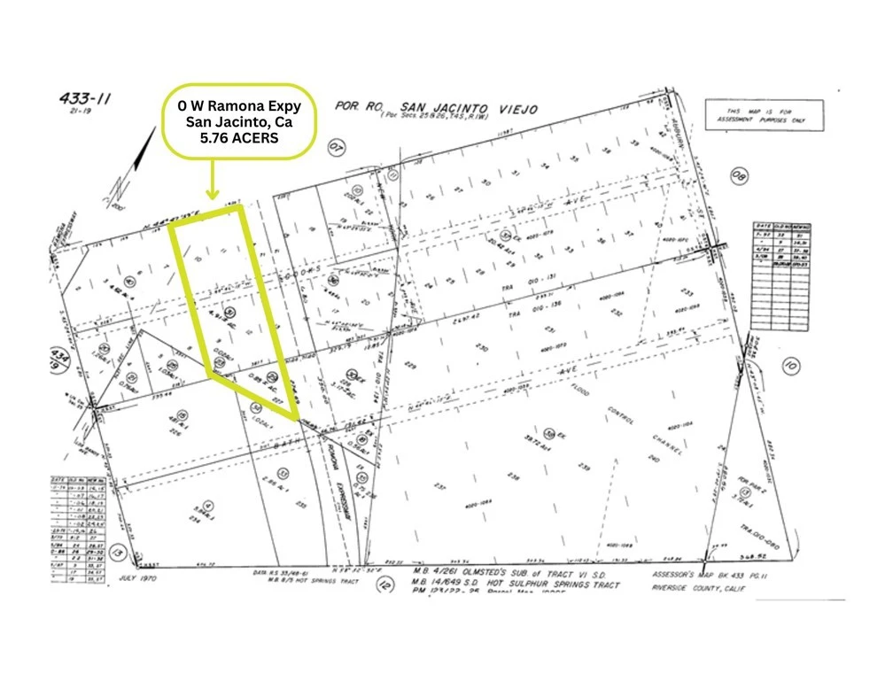
0 Ramona Expreeway, San Jacinto, CA 92583
This is a rare opportunity to own approximately 5.76 acres of prime land in San Jacinto, California, consisting of two contiguous parcels (APNs: 433-110-031 and 433-110-029). The property is ideally located just off Ramona Expressway, the main corridor through the area, offering excellent visibility and accessibility. Zoned MU-E (Mixed Use-Employment) with a housing overlay, the land provides exceptional flexibility for a wide range of development possibilities including residential, commercial, and mixed-use projects. The site is just 1.6 miles from the popular Soboba Casino Resort, adding regional draw and visitor traffic to the area. It also sits directly next to Rose Salgado Elementary School, making it a desirable location for housing or community-based projects. Even more appealing, a major development—KPC Promenade—is currently under construction right next door. This large-scale project will feature a hotel, restaurants, retail shopping, senior living, a gas station, and medical facilities, significantly enhancing the value and future potential of this property. With key amenities nearby, strong traffic flow, and growth all around, this land is a prime investment for developers or investors looking to be part of San Jacinto’s expanding future.
Lot Size
213,880 sqft
Days on Market
321
HOA Fee
N/A
MLS #
CV25103922
Lot Features
Two To Five Units Acre
Water Source
See Remarks
Street Lights
$0
| Rating | School Name | ||
|---|---|---|---|
| No school data available for this area. | |||
Balanced market
Avg. time on market
This is a Balanced Market. Homes are selling at a moderate pace.
Based on price, location, and features
Topfind Realty, DRE # 02240815, is a licensed real estate broker in California. Topfind Realty pledges to support the Fair Housing Act and adhere to Equal Housing Opportunity laws.
Copyright © 2026 Topfind Realty. All Rights Reserved.