
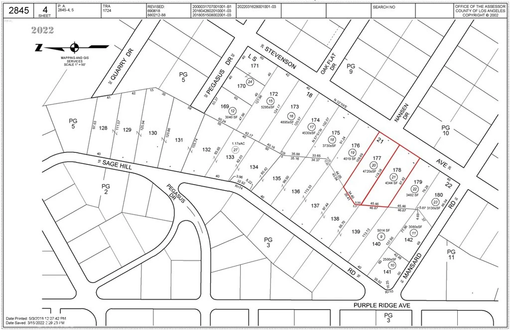
0 Stenson Avenue, Sylmar, CA 91342
Two adjacent residential vacant lots in Sylmar, CA are being sold together as a combined package, offering approximately 9,041 square feet of flat, buildable land with no HOA restrictions. APNs 2845-004-020 and 2845-004-021 sit along Stenson Ave in the northern Los Angeles County community of Sylmar, surrounded by existing homes — a clear signal that infrastructure and neighborhood character are already established in the area. The level topography and flat slope eliminate the grading challenges common to hillside lots in the region, making this a more straightforward path to breaking ground for buyers planning a single-family residence. Electricity is available via power lines along the street, and the lots feature some existing trees that add natural character to the site. Buyers are encouraged to conduct independent due diligence regarding water and sewer connectivity, as utility status is currently unverified. Access is via dirt road. Sylmar offers convenient proximity to the 210 and 5 freeways, Hansen Dam Recreation Area, and everyday amenities throughout the Santa Clarita Valley corridor. Zoned residential vacant land, these parcels are suited for an individual buyer ready to design and build a custom home on a combined lot in an established Los Angeles neighborhood. No prior permits or surveys on file. Priced at $150,000 for both parcels. Contact listing agent for details.
Lot Size
4,726 sqft
Days on Market
0
HOA Fee
N/A
MLS #
ND26037335
Lot Features
Item01 Unit Acre
Park
$0
| Rating | School Name | ||
|---|---|---|---|
| No school data available for this area. | |||
Balanced market
Avg. time on market
This is a Balanced Market. Homes are selling at a moderate pace.
Flood Risk
Minimal — not in a FEMA flood zone
Wildfire Risk
Moderate — near wildland-urban interface
Heat Risk
Low — moderate summer temperatures
Earthquake Risk
Southern California seismic zone
Based on price, location, and features
Topfind Realty, DRE # 02240815, is a licensed real estate broker in California. Topfind Realty pledges to support the Fair Housing Act and adhere to Equal Housing Opportunity laws.
Copyright © 2026 Topfind Realty. All Rights Reserved.