




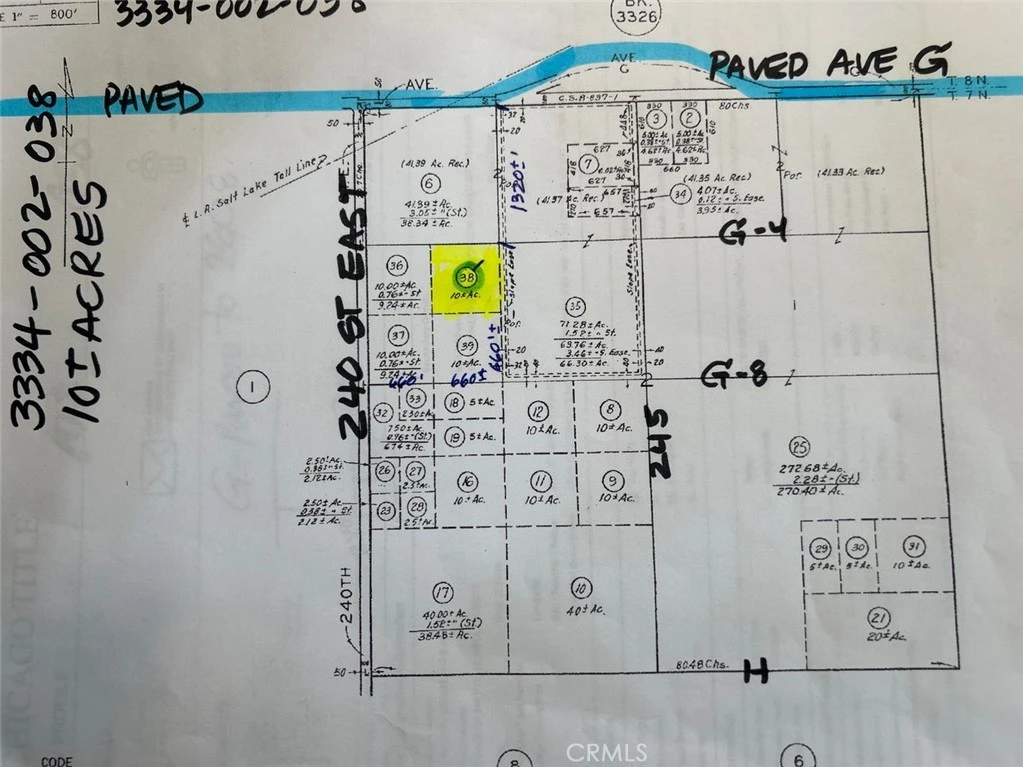
243 G-4, Unincorporated, CA 93535
TAKE THE 14 FREEWAY TO AVENUE G, GO EAST ON AVE G TO 240TH STREEET EAST, GO SOUTH ON 240TH FOR 1320+- FEET, NOW GO EAST FOR 660+_ FEET. STOP. REFER TO THE AERIALS AND THE PLAT MAPS. Marketing Remarks: VERY NICE LOS ANGELES COUNTY PARCEL WITH GREAT VIEWS OF THE SAN GABRIEL MOUNTAINS. ONLY 1/4 MILE SOUTH OF PAVED AVE G. BUYERS MUST GO SEE THE LAND AND TAKE PICTURES. LOCATED IN UNINCORPORATED LOS ANGELES COUNTY. Buyers are advised to conduct their own Property investigations to satisfy themselves. Verify the Property's Condition. Buyers are to check with the appropriate Parties, City or County for all of the following, Zoning, permitted uses, legal access, size of parcel and buildable space, Legal Access Current easements & future easements, Future Zoning, Current & Future Uses of the Land. Buyers are to contact the appropriate parties to Investigate Any available utilities/services in the area, Water, Gas/Propane, Electricity, Sewer/Septic, etc. Buyers are to Hire and conduct a survey to ascertain the true Location of the Parcel. Buyers are to verify their own intended use of said property with the appropriate Parties, Zoning and Planning Department at the County or City. Buyers also advised to contact the California Department of Fish and Wildlife as to any protected plants, trees or species. Buyer to verify all information on the MLS, Size, Property lines depicted on Photos are just Estimated and the Buyer is to verify. LOCATED IN UNINCORPORATED LOS ANGELES COUNTY SO GO TO THE LA CO DEPARTMENT OF REGIONAL PLANNING. . VERIFY SIZE WITH LA CO. Agent Remarks: PLEASE WRITE BOTH SELLERS NAMES ON THE VLPA. IGNATIUS GADRIC A. CHUSENFU ALDRIC WILFRED A. CHUSENFU YOUR BUYERS MUST GO SEE THE LAND AND TAKE PICTURES. AND, GO TO THE DEPT OF REGIONAL PLANNING, LANCASTER LOCATION FOR A DISCUSSION OF THEIR INTENDED USE.
Lot Size
476,821 sqft
Days on Market
489
HOA Fee
N/A
MLS #
SR24221347
Lot Features
Agricultural, Sloped Down, Sloped
Hiking
$0
| Rating | School Name | ||
|---|---|---|---|
| No school data available for this area. | |||
Balanced market
Avg. time on market
This is a Balanced Market. Homes are selling at a moderate pace.
Based on price, location, and features
Topfind Realty, DRE # 02240815, is a licensed real estate broker in California. Topfind Realty pledges to support the Fair Housing Act and adhere to Equal Housing Opportunity laws.
Copyright © 2026 Topfind Realty. All Rights Reserved.