




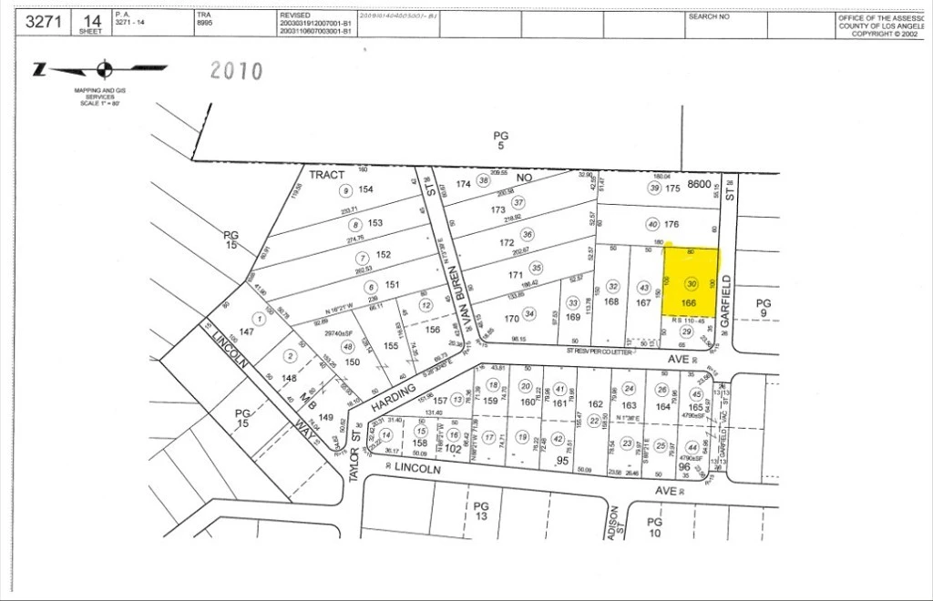
1 Garfield Street, Val Verde, CA 91384
7948 Sq Ft residential lot in Val Verde, just minutes from Santa Clarita. The lot is located on Garfield St, east just behind the corner house at 28704 Harding Ave. Water and power are available, and the lot has been surveyed. APN 3271-014-030.
Lot Size
7,951 sqft
Days on Market
3
HOA Fee
N/A
MLS #
SR26060962
Lot Features
Rectangular Lot, Sloped Up
Water Source
Public
Biking, Foothills, Hiking, Horse Trails, Mountainous, Near National Forest, Park, Rural
$0
| Rating | School Name | ||
|---|---|---|---|
| No school data available for this area. | |||
Balanced market
Avg. time on market
This is a Balanced Market. Homes are selling at a moderate pace.
Flood Risk
Minimal — not in a FEMA flood zone
Wildfire Risk
Moderate — near wildland-urban interface
Heat Risk
Low — moderate summer temperatures
Earthquake Risk
Southern California seismic zone
Based on price, location, and features
Topfind Realty, DRE # 02240815, is a licensed real estate broker in California. Topfind Realty pledges to support the Fair Housing Act and adhere to Equal Housing Opportunity laws.
Copyright © 2026 Topfind Realty. All Rights Reserved.