




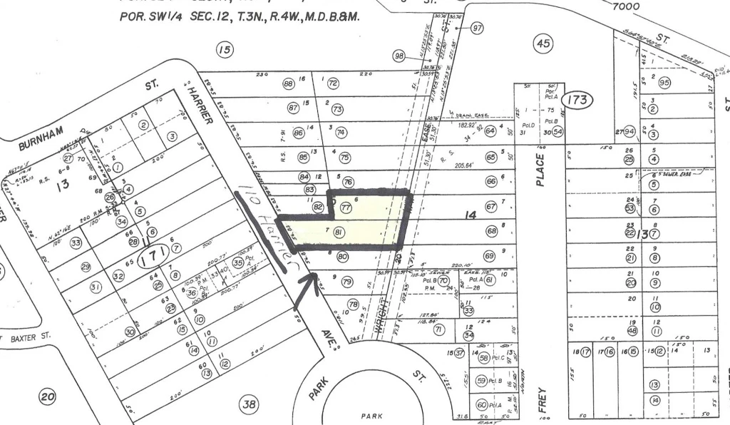
110 Harrier Ave, Vallejo, CA 94590
Enjoy the view and space on this large canyon lot. These are 2 separate lots that must be purchased together, with access off Harrier Ave, total square footage according to parcel map is 18,578. (APN 0051-173-810 and 770). Build your dream home or up to FOUR UNITS per lot (per the Planning Dept.). There are architectural drawings that had been submitted to the city by a previous owner. Total for both lots is $175,000. Multiple other lots may be available!
Lot Size
11,075 sqft
Days on Market
0
HOA Fee
N/A
MLS #
OC26051090
Lot Features
Eleven To Fifteen Units Acre, Six To Ten Units Acre, Back Yard, Sloped Down, Front Yard, Garden, Greenbelt, Gentle Sloping, Near Park, Paved, Rectangular Lot, Value In Land, Yard
Water Source
Other
Curbs, Ravine, Storm Drains, Suburban, Valley, Park
$0
| Rating | School Name | ||
|---|---|---|---|
| No school data available for this area. | |||
Balanced market
Avg. time on market
This is a Balanced Market. Homes are selling at a moderate pace.
Flood Risk
Minimal — not in a FEMA flood zone
Wildfire Risk
Moderate — near wildland-urban interface
Heat Risk
Low — moderate summer temperatures
Earthquake Risk
Southern California seismic zone
Based on price, location, and features
Topfind Realty, DRE # 02240815, is a licensed real estate broker in California. Topfind Realty pledges to support the Fair Housing Act and adhere to Equal Housing Opportunity laws.
Copyright © 2026 Topfind Realty. All Rights Reserved.