




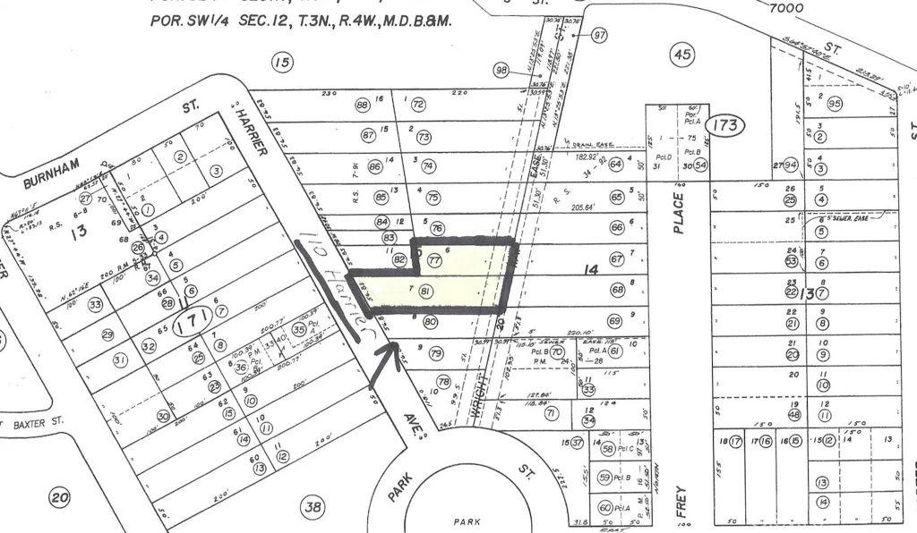
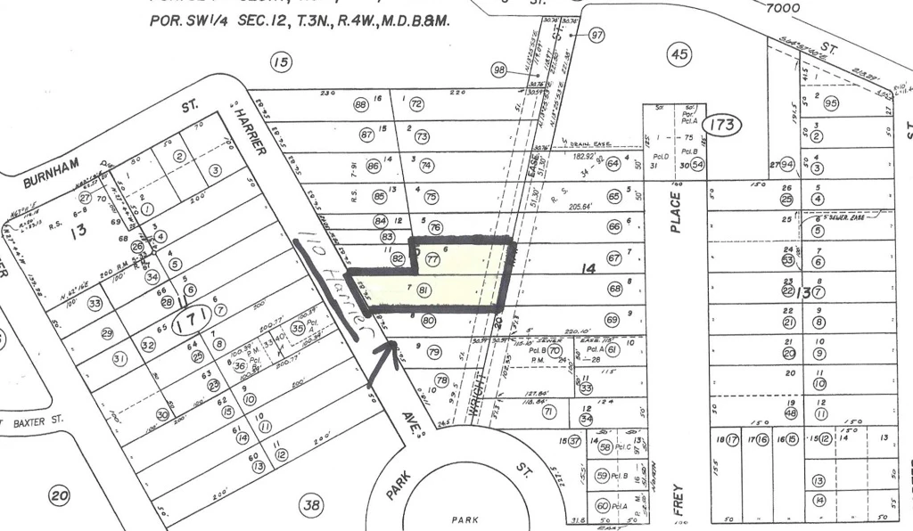
112 Harrier Ave, Vallejo, CA 94590
Excellent view lot in Vallejo Heights. This lot must be purchased with 110 Harrier Ave for shared street access, actual lot size is (7,429). Very peaceful setting in small residential valley (see photos). Build your dream home or up to FOUR UNITS per lot (according to planning dept). There are architectural drawings that were submitted to the city by previous owner. Total lot square footage is 18,578 and total price for 2 lots is $175,000. Multiple additional lots may be available!
Lot Size
18,578 sqft
Days on Market
0
HOA Fee
N/A
MLS #
OC26051092
Lot Features
Back Yard, Sloped Down, Front Yard, Gentle Sloping, Value In Land
Water Source
Public
Biking, Curbs, Suburban
$0
| Rating | School Name | ||
|---|---|---|---|
| No school data available for this area. | |||
Balanced market
Avg. time on market
This is a Balanced Market. Homes are selling at a moderate pace.
Flood Risk
Minimal — not in a FEMA flood zone
Wildfire Risk
Moderate — near wildland-urban interface
Heat Risk
Low — moderate summer temperatures
Earthquake Risk
Southern California seismic zone
Based on price, location, and features
Topfind Realty, DRE # 02240815, is a licensed real estate broker in California. Topfind Realty pledges to support the Fair Housing Act and adhere to Equal Housing Opportunity laws.
Copyright © 2026 Topfind Realty. All Rights Reserved.