

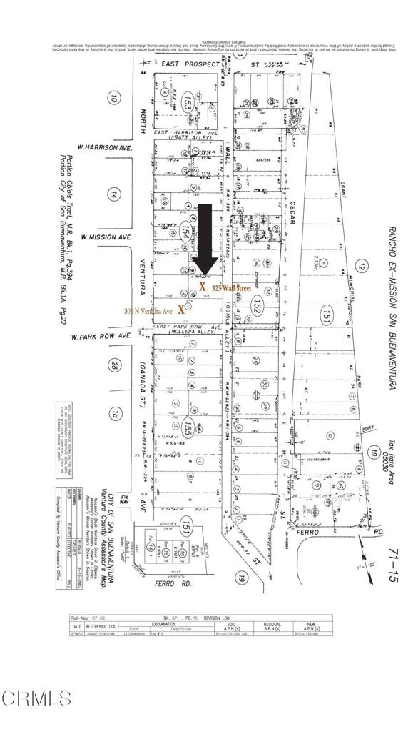
323 Wall Street, Ventura, CA 93001
Build your home on Wall Street! Build your home here, or a duplex or possibly a triplex.Current zoning for the property is multifamily R-3-5. Density per existing zoning is 1unit/2,400 sq ft of land area, which would allow 2.95 units (if City rounds up, then this would allow for a triplex), with a height of 3 Stories, maximum 45 feet.The General Plan Update, nearing completion, designates property as Mixed Use 3. Residential density per the upcoming general plan is 30 residential units per acre, which the City's stated objective of 4.88 units (if City rounds up, then this would allow for 5 units), with a maximum height of 45 feet.Wall Street is a quiet residential street two blocks north of Main Street - and a short distance from the beach! Great location for future appreciation.Lot is flat and ready to be built on - all utilities are in the street. Take advantage of this opportunity to build one or more than one unit in an up-and-coming part of Ventura. Also, there was a previous home on this lot. There may be a water lateral/meter and sewer lateral in place. Also, there may be a school tax credit for the previous structure - Buyer to investigate any benefits from previous structure and conduct their own due diligence.The listing broker is the owner of this property.
Bathrooms
0
Lot Size
7,088 sqft
Days on Market
50
HOA Fee
N/A
MLS #
V1-30175
Lot Features
Level, Sprinklers None
Water Source
Public
Sidewalks
$0
| Rating | School Name | ||
|---|---|---|---|
| No school data available for this area. | |||
Balanced market
Avg. time on market
This is a Balanced Market. Homes are selling at a moderate pace.
Based on price, location, and features
Topfind Realty, DRE # 02240815, is a licensed real estate broker in California. Topfind Realty pledges to support the Fair Housing Act and adhere to Equal Housing Opportunity laws.
Copyright © 2026 Topfind Realty. All Rights Reserved.