
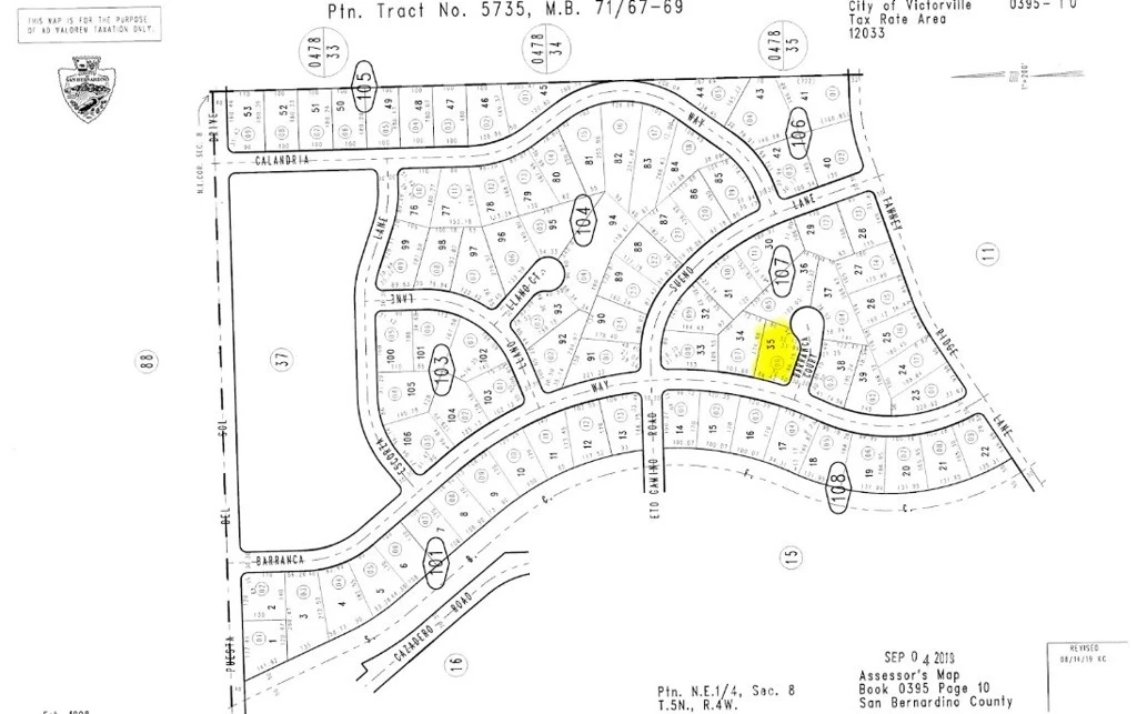
0 Barranca Way, Victorville, CA 92394
Fantastic, buildable corner lot located at Barranca Way and Barranca Ct. (cul-de-sac). This beautiful property offers great views and is surrounded by newer homes along Barranca Way, just a short distance from Puesta Del Sol Elementary School. Spanning nearly half an acre (18,710 sq. ft.), the lot is ideal for a custom home. It features a gentle slope at the front and side, with a level area in the back—perfect for building. All utilities are underground for a clean and unobstructed setting. Conveniently located near shopping and freeway access. Hurry this will not last!
Lot Size
18,710 sqft
Days on Market
6
HOA Fee
N/A
MLS #
HD26058550
Rural
$0
| Rating | School Name | ||
|---|---|---|---|
| No school data available for this area. | |||
Balanced market
Avg. time on market
This is a Balanced Market. Homes are selling at a moderate pace.
Flood Risk
Minimal — not in a FEMA flood zone
Wildfire Risk
Moderate — near wildland-urban interface
Heat Risk
Low — moderate summer temperatures
Earthquake Risk
Southern California seismic zone
Based on price, location, and features
Topfind Realty, DRE # 02240815, is a licensed real estate broker in California. Topfind Realty pledges to support the Fair Housing Act and adhere to Equal Housing Opportunity laws.
Copyright © 2026 Topfind Realty. All Rights Reserved.