




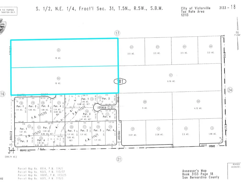
0 Braceo Street, Victorville, CA 92371
20 ac R-1 Land in the Path of Development. In this area of West Victorville, KB Home has broke ground on a 40 ac Tract (135 lots) at Monte Vista Rd & Luna Rd, Pacific Communities has almost completed their Model Homes and is currently constructing about 17 additional homes at Monte Vista Rd and Dos Palmas Rd (185 lots), and Richmond American has broke ground at Olivine & Mesa View (122 lots). Current projects are the first movement seen since 2008 in this area. Multiple projects also working on Tentative Maps. All great signs pointing towards the development of this area. The subject property. Parkview Specific Plan (owned by the Lewis Group), is located directed North and has plans for 715 homes, a 10 ac park, an 11 ac commercial center and a 12 ac school site. Snowline School District owns an adjacent 10 ac. Great opportunity to acquire land in West Victorville before development eventually takes off.
Lot Size
871,200 sqft
Days on Market
116
HOA Fee
N/A
MLS #
HD25199414
Lot Features
Desert Front
Rural
$0
| Rating | School Name | ||
|---|---|---|---|
| No school data available for this area. | |||
Balanced market
Avg. time on market
This is a Balanced Market. Homes are selling at a moderate pace.
Based on price, location, and features
Topfind Realty, DRE # 02240815, is a licensed real estate broker in California. Topfind Realty pledges to support the Fair Housing Act and adhere to Equal Housing Opportunity laws.
Copyright © 2026 Topfind Realty. All Rights Reserved.