

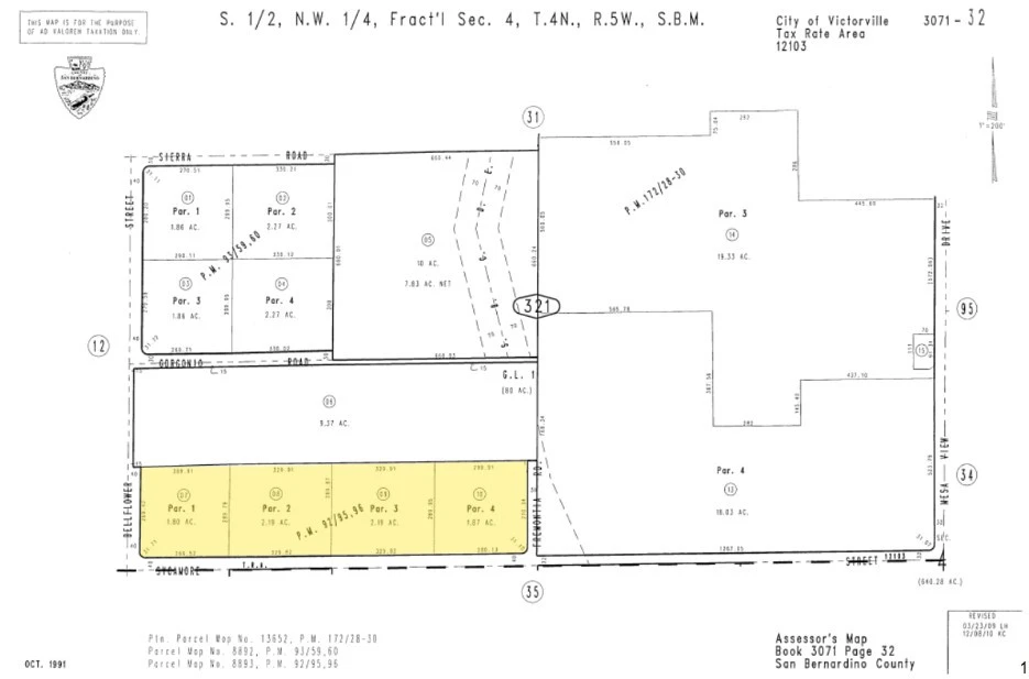
0 Sycamore Street, Victorville, CA 92392
Four parcels totaling ±8.05 acres are now available, zoned R1 - Single Family Residential, offering an excellent opportunity for investors or custom home builders. With paved road access just ½ mile to the north at Bear Valley Rd. and approximately ¾ mile to the east at US-395, this site provides convenient access to surrounding areas while preserving a sense of privacy and seclusion. Water and power are conveniently located at the SW corner of the site, at the intersection of Bellflower St. and Sycamore St. Buyer to verify all information contained herein.
Lot Size
350,658 sqft
Days on Market
193
HOA Fee
N/A
MLS #
HD25027710
Lot Features
Lot Over40000 Sqft
Water Source
See Remarks
Rural
$0
| Rating | School Name | ||
|---|---|---|---|
| No school data available for this area. | |||
Balanced market
Avg. time on market
This is a Balanced Market. Homes are selling at a moderate pace.
Flood Risk
Minimal — not in a FEMA flood zone
Wildfire Risk
Moderate — near wildland-urban interface
Heat Risk
Low — moderate summer temperatures
Earthquake Risk
Southern California seismic zone
Based on price, location, and features
Topfind Realty, DRE # 02240815, is a licensed real estate broker in California. Topfind Realty pledges to support the Fair Housing Act and adhere to Equal Housing Opportunity laws.
Copyright © 2026 Topfind Realty. All Rights Reserved.