




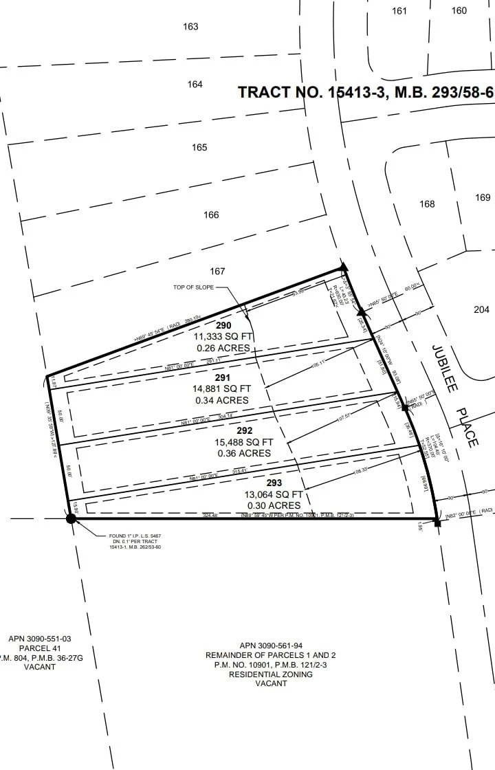
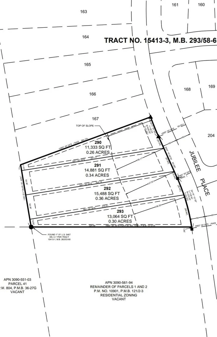
13430 Jubilee Place, Victorville, CA 92395
Property has curb and driveway cut. Utilities at street. May be subdivided into 4 parcels. Currently allows for one home to be built, without subdividing. Check with city for most recent zoning and building regulations.
Lot Size
54,450 sqft
Days on Market
237
HOA Fee
N/A
MLS #
TR25121732
Lot Features
Zero To One Unit Acre, Sloped Down, Irregular Lot
Sewer
Public Sewer
Water Source
Public
Curbs, Sidewalks
$0
| Rating | School Name | ||
|---|---|---|---|
| No school data available for this area. | |||
Balanced market
Avg. time on market
This is a Balanced Market. Homes are selling at a moderate pace.
Flood Risk
Minimal — not in a FEMA flood zone
Wildfire Risk
Moderate — near wildland-urban interface
Heat Risk
Low — moderate summer temperatures
Earthquake Risk
Southern California seismic zone
Based on price, location, and features
Topfind Realty, DRE # 02240815, is a licensed real estate broker in California. Topfind Realty pledges to support the Fair Housing Act and adhere to Equal Housing Opportunity laws.
Copyright © 2026 Topfind Realty. All Rights Reserved.