

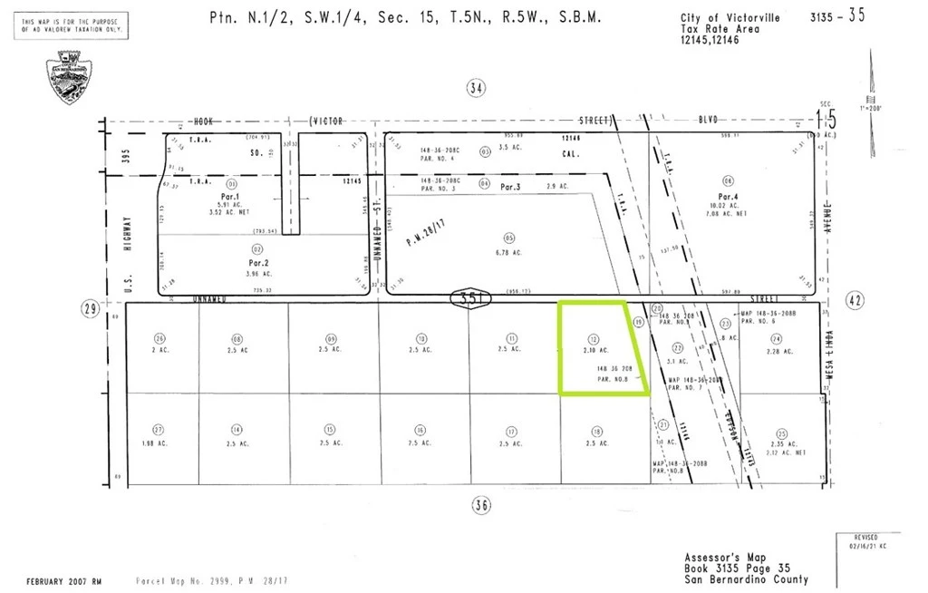
3135351 12 Villa/La Paz Street, Victorville, CA 92394
***Come VIEW and MAKE an OFFER TODAY! Affordable LAND OPPORTUNITY located in EXPANDING Victorville CA. The 2.1 acre parcel is zoned R-1 allowing for a single family residential development. Very close to Hwy 395, the site offers great access to all of Southern CA and is only minutes Away from Interstate 15. Very close to newly built tracts and retail centers, the property is right in the path of growth. An ideal piece of land for anyone looking to speculate on future expansion. Plus the property is adjacent to utility lines. A must see opportunity before it's too late.***
Lot Size
91,476 sqft
Days on Market
277
HOA Fee
N/A
MLS #
HD24238668
Lot Features
Six To Ten Units Acre, Lot Over40000 Sqft, Level, Street Level
Water Source
Public
Suburban
$0
| Rating | School Name | ||
|---|---|---|---|
| No school data available for this area. | |||
Balanced market
Avg. time on market
This is a Balanced Market. Homes are selling at a moderate pace.
Flood Risk
Minimal — not in a FEMA flood zone
Wildfire Risk
Moderate — near wildland-urban interface
Heat Risk
Low — moderate summer temperatures
Earthquake Risk
Southern California seismic zone
Based on price, location, and features
Topfind Realty, DRE # 02240815, is a licensed real estate broker in California. Topfind Realty pledges to support the Fair Housing Act and adhere to Equal Housing Opportunity laws.
Copyright © 2026 Topfind Realty. All Rights Reserved.