




538 Plumosa Ave, Vista, CA 92081
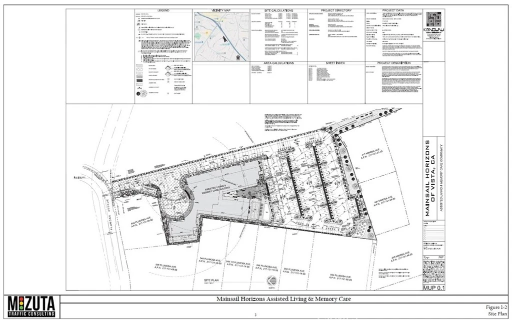
The Mainsail Horizons of Vista Project RECORD ID: PDS2017-MPA-17-012; APN 217-131-58 The Mainsail Horizons of Vista project (PDS2017-MPA-17-012) consists of an application for a Major Use Permit to allow the construction of an Assisted Living and Memory Care facility on an approximately 2.6- acre vacant property. The site supports two more-or-less discrete plant communities or habitats: Non-native Grassland and Disturbed/Developed habitat. The project as proposed will impact biological resources, resulting in a need for mitigation. Mitigation must take place offsite in a County-approved location due to full site use for development purposes. In addition, an avian nesting survey and/or seasonal restrictions on any future site development are recommended to ensure project consistency with the Migratory Bird Treaty Act and the California Fish and Game Code. The Mainsail Horizons of Vista project is an application to allow the development of an approximately 2.6- acre parcel (APN 217-131-58) under a Major Use Permit (MUP) allowing the construction of an Assisted Living and Memory Care facility. As designed, the facility will support a 59,148 square-foot 4-story building along with parking spaces, a swimming pool, landscaping, other improvements and associated infrastructure. The 2.6-acre project site is located southwest of State Route 78 and fronting Plumosa Avenue on unincorporated County lands between the Cities of Vista and San Marcos.
Bedrooms
0
Bathrooms
0
Lot Size
114,127.2 sqft
Days on Market
302
HOA Fee
N/A
MLS #
GD25120984
Lot Features
Two To Five Units Acre
Water Source
Public
Preserve Public Land
$0
| Rating | School Name | ||
|---|---|---|---|
| No school data available for this area. | |||
Balanced market
Avg. time on market
This is a Balanced Market. Homes are selling at a moderate pace.
Flood Risk
Minimal — not in a FEMA flood zone
Wildfire Risk
Moderate — near wildland-urban interface
Heat Risk
Low — moderate summer temperatures
Earthquake Risk
Southern California seismic zone
Based on price, location, and features
Topfind Realty, DRE # 02240815, is a licensed real estate broker in California. Topfind Realty pledges to support the Fair Housing Act and adhere to Equal Housing Opportunity laws.
Copyright © 2026 Topfind Realty. All Rights Reserved.