




23250 Rancho Mirlo Road, Wildomar, CA 92562
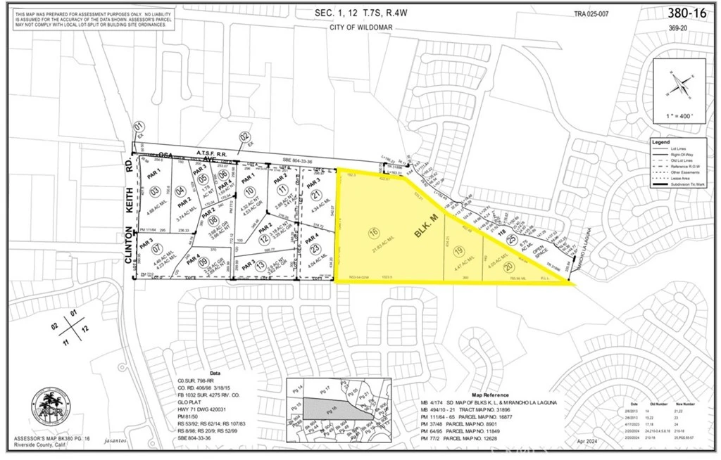
The offering consists of three legal parcels totaling approximately 30.35 acres of land located in the City of Wildomar on the border of Murrieta. The property is primarily flat, has the shape of a right triangle, and is accessible via Ranch Mirlo Road which is a dirt road off of Clinton Keith Road. Surrounding the property in all directions except north are existing and incoming single-family communities as well as a community park. Additionally, the property has an expired TTM that consisted of 51 single-family lots on about 16 of the 30 acres, with the remaining 14 acres designated as open space. The EVMWD has jurisdiction over the property for water and sewer utilities and provided ownership with will-serve letters for the expired map. EVMWD was going to allow the development to bore under the Murrieta Creek to connect to the water outlet in the adjacent D.R. Horton project. However, the sewer connection was going to come from the adjacent Copper Canyon Park which is serviced by the Rancho California Water District who agreed to the connection. The property has a zoning classification of Rural Residential (RR). However, in the recently adopted and updated General Plan, the entire +/- 30.35 acres has been designated as of Very Low Density Residential (VLDR). This allows for single-family detached residences at a density range of 1 dwelling unit per 1-2 acres, with 1 acre lots being the minimum and 2 acre lots being the maximum. Buyer to confirm. Please reach out with any questions.
Lot Size
1,322,046 sqft
Days on Market
327
HOA Fee
N/A
MLS #
IV25037912
Lot Features
Value In Land
Water Source
Public
Suburban
$0
| Rating | School Name | ||
|---|---|---|---|
| No school data available for this area. | |||
Balanced market
Avg. time on market
This is a Balanced Market. Homes are selling at a moderate pace.
Based on price, location, and features
Topfind Realty, DRE # 02240815, is a licensed real estate broker in California. Topfind Realty pledges to support the Fair Housing Act and adhere to Equal Housing Opportunity laws.
Copyright © 2026 Topfind Realty. All Rights Reserved.