




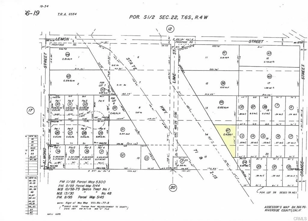
33599 Orange, Wildomar, CA 92595
Prime Lot Opportunity! Discover this spacious .43-acre parcel in a desirable location. Zoned Rural Residential, the property offers flexibility—utilities are already at the lot, making it easy to bring your mobile home, modular home, or build your dream residence. This parcel is adjacent to the freeway, offering excellent visibility and potential for additional income opportunities such as an advertising billboard (subject to buyer verification and approvals). Opportunities like this don’t last long—lots in this area are highly sought after! Take advantage of this chance to secure land ownership today. Buyer Due Diligence: No reports or surveys are currently available. Buyers and their agents are advised to conduct independent investigations regarding property condition, zoning, and potential uses.
Lot Size
18,731 sqft
Days on Market
0
HOA Fee
N/A
MLS #
IV25267590
Lot Features
Zero To One Unit Acre
Water Source
Other
Urban
$0
| Rating | School Name | ||
|---|---|---|---|
| No school data available for this area. | |||
Balanced market
Avg. time on market
This is a Balanced Market. Homes are selling at a moderate pace.
Flood Risk
Minimal — not in a FEMA flood zone
Wildfire Risk
Moderate — near wildland-urban interface
Heat Risk
Low — moderate summer temperatures
Earthquake Risk
Southern California seismic zone
Based on price, location, and features
Topfind Realty, DRE # 02240815, is a licensed real estate broker in California. Topfind Realty pledges to support the Fair Housing Act and adhere to Equal Housing Opportunity laws.
Copyright © 2026 Topfind Realty. All Rights Reserved.