




0 Linnet Road, Wrightwood, CA 92397
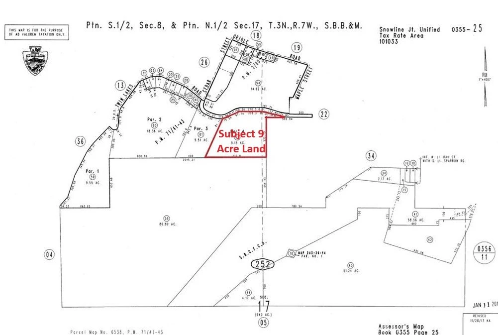
About 9 plus acre prime land located in Wrightwood California near Mountain High Ski Resort. This ski resort considered one of the most popular winter desalination for millions of visitors per year. Mountain High is the closest ski resort from LA, Orange and San Diego county. ZONED FOR HORSES!! A perfect location to build a mountain estate, ranch, vacation lodge, retreat center, religious worship center and more (Buyer to verify zoning). This property has breath taking mountain views and national Forrest. Seller was on the process of building a custom ranch home and many county required tests already completed which will save new buyer significant study cost. Only 3 minutes drive to down town Wrightwood a mountain town with many vacation motels, hotels, lodges, restaurants, super markets, many ski and bike shops. One of the largest build-able lot on the market. THIS GORGEOUS HILLSIDE IS LOCATED IN THE WRIGHTWOOD MOUNTAINS BORDERING THE COUNTRY CLUB. PERFECT FOR A BUILDER THAT WANTS TO BUILD HILLSIDE HOMES. BUYER TO VERIFY LAND USE WITH THE COUNTY OF SAN BERNARDINO AND ALL UTILITIES. Motivated Seller May offer Seller Financing.
Lot Size
399,880 sqft
Days on Market
0
HOA Fee
N/A
MLS #
HD26040345
Lot Features
Lot Over40000 Sqft
Mountainous
$0
| Rating | School Name | ||
|---|---|---|---|
| No school data available for this area. | |||
Balanced market
Avg. time on market
This is a Balanced Market. Homes are selling at a moderate pace.
Flood Risk
Minimal — not in a FEMA flood zone
Wildfire Risk
Moderate — near wildland-urban interface
Heat Risk
Low — moderate summer temperatures
Earthquake Risk
Southern California seismic zone
Based on price, location, and features
Topfind Realty, DRE # 02240815, is a licensed real estate broker in California. Topfind Realty pledges to support the Fair Housing Act and adhere to Equal Housing Opportunity laws.
Copyright © 2026 Topfind Realty. All Rights Reserved.