

0 Harwood Road, Los Gatos, CA 95032
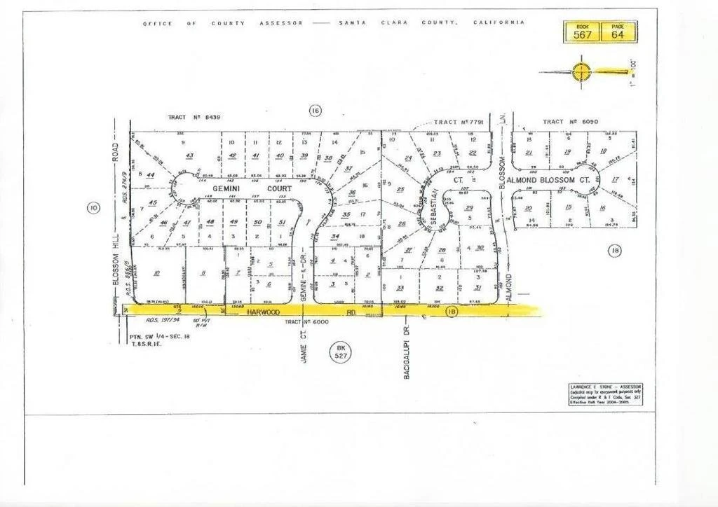
This is a unique opportunity to own a piece of Los Gatos history. This property consists of three parcels (APNs 567-64-009, 567-18-073 and 567-18-074) that are basically a 30 foot wide strip from Harwood Road to the properties on the East side of Harwood Road and extends from Blossom Hill Road up the hill to past Alerche Drive. Altogether this is nearly 2 acres. It is highly unlikely that building a home or putting any type of structure would be permitted but there is room to park vehicles or plant a vineyard or put the land to some other creative use.
Bathrooms
0
Lot Size
20,579 sqft
Days on Market
1209
HOA Fee
N/A
MLS #
ML81914514
Lot Features
Paved
$0
| Rating | School Name | ||
|---|---|---|---|
| No school data available for this area. | |||
Balanced market
Avg. time on market
This is a Balanced Market. Homes are selling at a moderate pace.
Flood Risk
Minimal — not in a FEMA flood zone
Wildfire Risk
Moderate — near wildland-urban interface
Heat Risk
Low — moderate summer temperatures
Earthquake Risk
Southern California seismic zone
Based on price, location, and features
Topfind Realty, DRE # 02240815, is a licensed real estate broker in California. Topfind Realty pledges to support the Fair Housing Act and adhere to Equal Housing Opportunity laws.
Copyright © 2026 Topfind Realty. All Rights Reserved.