

0 NASON ST, Moreno Valley, CA 92555
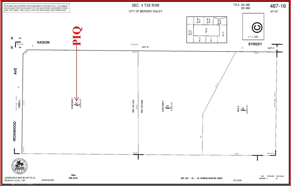
±9.52 Acres Prime Corner Land – Nason St & Ironwood Ave, Moreno Valley, CA. Excellent opportunity to acquire approximately 9.52 acres of land located at or near the corner of Nason St and Ironwood Ave, offering high visibility and strong exposure in the growing Moreno Valley market. This well-positioned parcel (APN: 487-160-001) provides convenient access to major transportation corridors including the 60 Freeway and I-215, making it ideal for residential development, investment, or land banking. Zoning is (Buyer to verify – residential/agricultural potential), allowing for a variety of uses such as custom home development, subdivision, or long-term hold. Surrounding area features established residential communities, new developments, and nearby retail amenities, making this a strategic opportunity in ahigh-growth Inland Empire location. Corner location provides added accessibility and development flexibility.
Bedrooms
0
Bathrooms
0
Lot Size
414,691 sqft
Days on Market
11
HOA Fee
N/A
MLS #
PW26061784
Lot Features
Six To Ten Units Acre
Suburban
$0
| Rating | School Name | ||
|---|---|---|---|
| No school data available for this area. | |||
Balanced market
Avg. time on market
This is a Balanced Market. Homes are selling at a moderate pace.
Flood Risk
Minimal — not in a FEMA flood zone
Wildfire Risk
Moderate — near wildland-urban interface
Heat Risk
Low — moderate summer temperatures
Earthquake Risk
Southern California seismic zone
Based on price, location, and features
Topfind Realty, DRE # 02240815, is a licensed real estate broker in California. Topfind Realty pledges to support the Fair Housing Act and adhere to Equal Housing Opportunity laws.
Copyright © 2026 Topfind Realty. All Rights Reserved.