
0 NASON ST, Moreno Valley, CA 92555
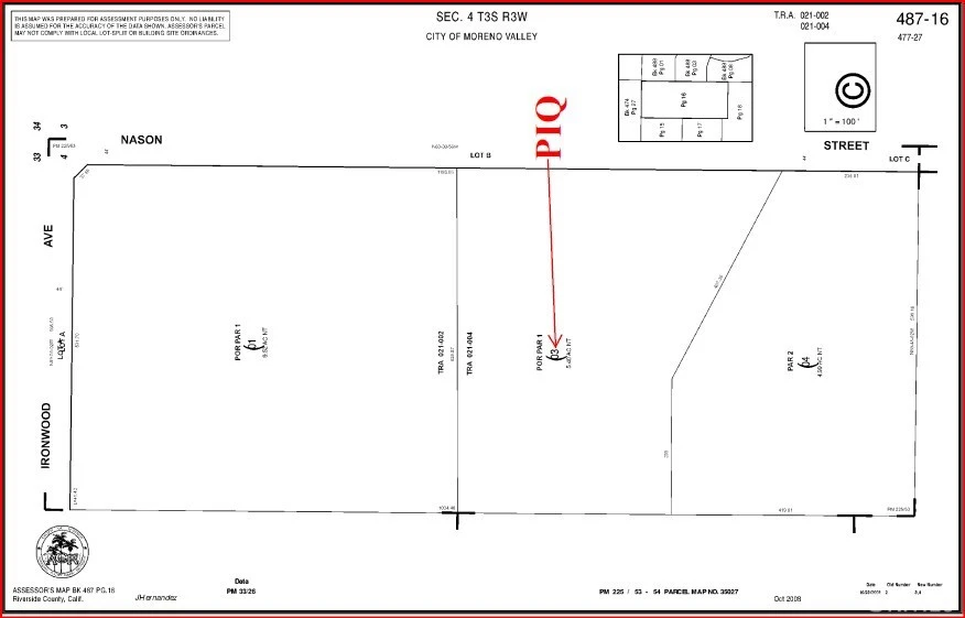
±5.40 Acres Prime Land Opportunity – Nason St, Moreno Valley, CA. Excellent opportunity to acquire approximately 5.40 acres of land located on Nason St in Moreno Valley, directly south of the ±9.52-acre parcel (APN: 487-160-001), offering additional value and future assemblage potential. This parcel provides convenient access to major transportation corridors including the 60 Freeway and I-215, and is situated near the Nason St & Ironwood Ave intersection, a high-visibility area within a rapidly growing residential corridor. Zoning is (Buyer to verify – residential/agricultural potential), allowing for a variety of uses including custom home development, subdivision, or long-term land banking. Surrounding area features a mix of established residential communities and ongoing new developments, with nearby access to shopping centers, schools, parks, and major retailers. This is a strategic investment opportunity, especially when combined with the adjacent parcel to the north, providing flexibility for future development.
Bedrooms
0
Bathrooms
0
Lot Size
235,224 sqft
Days on Market
6
HOA Fee
N/A
MLS #
PW26061804
Lot Features
Six To Ten Units Acre
Suburban
$0
| Rating | School Name | ||
|---|---|---|---|
| No school data available for this area. | |||
Balanced market
Avg. time on market
This is a Balanced Market. Homes are selling at a moderate pace.
Flood Risk
Minimal — not in a FEMA flood zone
Wildfire Risk
Moderate — near wildland-urban interface
Heat Risk
Low — moderate summer temperatures
Earthquake Risk
Southern California seismic zone
Based on price, location, and features
Topfind Realty, DRE # 02240815, is a licensed real estate broker in California. Topfind Realty pledges to support the Fair Housing Act and adhere to Equal Housing Opportunity laws.
Copyright © 2026 Topfind Realty. All Rights Reserved.